正在公示!唐山凤凰新城要增加一大片绿地
唐山信息港 发表于:2019-6-6 06:44 复制链接 看图 发表新帖
阅读数:3713
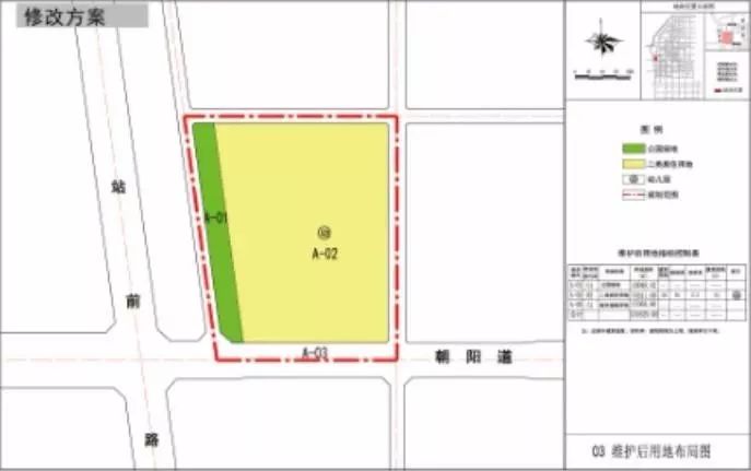
6月4日,中国唐山网站发布《唐山市凤凰新城A03街区朝阳道北侧、环城水系东侧地块控制性详细规划修改论证及规划方案公示》。公示显示,该规划方案将增加环城水系东侧绿地空间和用地性质、控制指标等内容。

修改原因:优化城市空间,提升土地利用价值,保障村集体利益,促进城市健康发展。
主要修改内容:
1、增加环城水系东侧绿地空间。
2、用地性质、控制指标等内容。
公示时间:2019年6月4日—2019年7月4日

唐山市凤凰新城A03街区朝阳道北侧、环城水系东侧地块控制性详细规划修改论证及规划方案公示

c32bcc7464ff97e7e29c9831e1ad2913.jpg

519cc9d52282623fa3098eb9900aa7b9.jpg


64e8282aa1cefc72838aa814656d8c42.jpg

cba8ba99173dff940a41218e813013e4.jpg

来源:中国唐山
返回列表 使用道具 举报
条评论
您需要登录后才可以回帖 登录 | 立即注册
相关推荐
©2001-2021 唐山信息港 http://www.tsxxg.com冀ICP备16001780号-4
首页联系我们客服微信:14369595Comsenz Inc.